El huracán Melissa se convierte en categoría 5 y continuará generando lluvias en el país
- 2025-10-27
- Autor: Te Lo Explico
Se mantienen los avisos por inundaciones y las restricciones vigentes en la costa caribeña
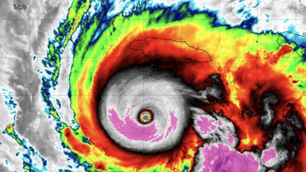
Santo Domingo. El huracán Melissa se convirtió este lunes en categoría 5 en la escala Saffir-Simpson, alcanzando vientos máximos sostenidos de 260 kilómetros por hora (160 mph). Así lo informó el Centro Nacional de Huracanes de Miami (NHC), en el aviso número 24 emitido a las 5:00 de la mañana de este lunes.
Melissa se ubica aproximadamente a unos 205 km al sur/suroeste de Kingston (Jamaica) y a unos 505 km al sur/suroeste de Guantánamo (Cuba). Se sigue desplazando lentamente hacia el oeste, a unos 6 km/h, y la presión mínima central es de 917 milibares.

El NHC advirtió que el ciclón generará lluvias potencialmente catastróficas, deslizamientos de tierra, marejadas ciclónicas de gran altura y cortes prolongados de energía en los países bajo su influencia durante los próximos tres días.
Asimismo, hizo un llamado a la población de Jamaica a permanecer en refugios seguros y no salir bajo ninguna circunstancia.
Continuarán las lluvias en el país
De acuerdo con el informe del Instituto Dominicano de Meteorología, a pesar de la distancia, el huracán Melissa mantiene bastante nubosidad sobre el territorio nacional, acompañada de aguaceros dispersos desde las primeras horas del día.
Meteorología informó que lloverá en las provincias Barahona, Pedernales, Azua, Peravia, San Cristóbal, San José de Ocoa, San Pedro de Macorís, Samaná, Hato Mayor, María Trinidad Sánchez, el Gran Santo Domingo, entre otras áreas.

Durante el resto de la mañana y horas de la tarde, Indomet advirtió que estas precipitaciones se intensificarán, esperándose aguaceros fuertes en ocasiones, tormentas eléctricas y ráfagas de viento, en especial sobre localidades del suroeste, sureste, noreste, cordillera Central y el Valle del Cibao, como son: Pedernales, Barahona, Independencia, Bahoruco, Azua, San Juan, Peravia, San Cristóbal, San José de Ocoa, San Pedro de Macorís, La Romana, La Altagracia, El Seibo, Hato Mayor, Samaná, Duarte, Sánchez Ramírez, La Vega, Monseñor Nouel, Santiago, Hermanas Mirabal, Espaillat y María Trinidad Sánchez.
“Mañana martes, Melissa estará moviéndose hacia el nor/noreste, esperándose que mantenga las condiciones meteorológicas apropiadas para que continúen los fuertes aguaceros sobre poblados en el suroeste, sureste, noreste y la cordillera Central de nuestro territorio; es decir, provincias como: Pedernales, Barahona, Independencia, Bahoruco, Azua, San Juan, Peravia, San Cristóbal, San José de Ocoa, San Pedro de Macorís, La Romana, La Altagracia, El Seibo, Hato Mayor, Samaná, Duarte, Sánchez Ramírez, La Vega, Monseñor Nouel, Santiago, Hermanas Mirabal, Espaillat y María Trinidad Sánchez”, precisó Indomet en el informe del tiempo.
Etiquetas
Más Noticias de Actualidad
Noticias Más Leídas
Divisas
1 USD = 64.03 DOP
1 EUR = 70.06 DOP
















